Details of record no: 70007

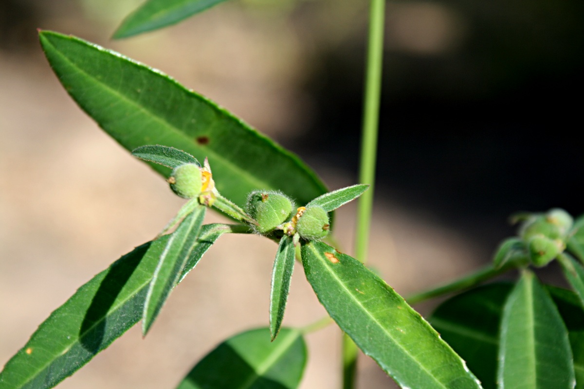
Euphorbia benthamii Hiern

Three blocks of information are displayed on this page, namely: (a) details of the record; (b) the record point plotted using Google Maps and (c) any images attached to the record. Please scroll down to see the various items.

Record details:

Date: 14 May 2013
Recorder(s):MA Hyde
DB Hartung
T Alegria
Collector(s):
Determiner(s):MA Hyde
Confirmer(s):
Herbarium:
Habitat: Miombo woodland
Location: Mukuvisi Woodland, Harare
Location code(s): 1,2
Outing code:
Planted code: Not planted
Country: Zimbabwe
Quarter Degree Square: 1731C3
Grid reference:
Altitude (metres): 1490
Notes: Annual species
Latitude, Longitude: -17.850010, 31.094800
Location Accuracy Code: 7

Map of species record

Images:

Image: 3

Euphorbia benthamii

Species id:135760
Image id:3
Image number:26530
Photographer: MA Hyde
Code 1 if image of a herbarium specimen:0
Herbarium in which image taken:
Code 1 if image not to be displayed:1
Image notes:

Image: 4

Euphorbia benthamii

Species id:135760
Image id:4
Image number:26531
Photographer: MA Hyde
Code 1 if image of a herbarium specimen:0
Herbarium in which image taken:
Code 1 if image not to be displayed:1
Image notes:

Image: 5

Euphorbia benthamii

Species id:135760
Image id:5
Image number:26532
Photographer: MA Hyde
Code 1 if image of a herbarium specimen:0
Herbarium in which image taken:
Code 1 if image not to be displayed:0
Image notes:

Copyright: Mark Hyde, Bart Wursten, Petra Ballings and Meg Coates Palgrave, 2014-26

Hyde, M.A., Wursten, B.T., Ballings, P. & Coates Palgrave, M. (2026). Flora of Caprivi: Individual record no: 70007: Euphorbia benthamii.
https://www.capriviflora.com/speciesdata/species-record.php?record_id=70007, retrieved 30 January 2026

Site software last modified: 18 October 2025 12:29pm (GMT +2)
Terms of use