Details of record no: 94921

Dichapetalum cymosum (Hook.) Engl.

Three blocks of information are displayed on this page, namely: (a) details of the record; (b) the record point plotted using Google Maps and (c) any images attached to the record. Please scroll down to see the various items.

Record details:

Date: 28 Jan 2018
Recorder(s):BT Wursten
P Ballings
Collector(s):
Determiner(s):BT Wursten
Confirmer(s):
Herbarium:
Habitat: Margin of woodland and roadside verge on Kalahari sand
Location: B8 road through Bwabwata
Location code(s):
Outing code: 51
Planted code: Not planted
Country: Namibia (Caprivi Strip)
Quarter Degree Square: 1821B2
Grid reference:
Altitude (metres): 1025
Notes: Erect unbranched herb with small axillary whitish flowers.
Latitude, Longitude: -18.055950, 21.880140
Location Accuracy Code: 7

Map of species record

Images:

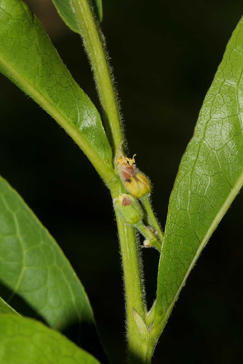
Image: 5

Dichapetalum cymosum

Species id:133990
Image id:5
Image number:30093
Photographer: BT Wursten
Code 1 if image of a herbarium specimen:0
Herbarium in which image taken:
Code 1 if image not to be displayed:0
Image notes:

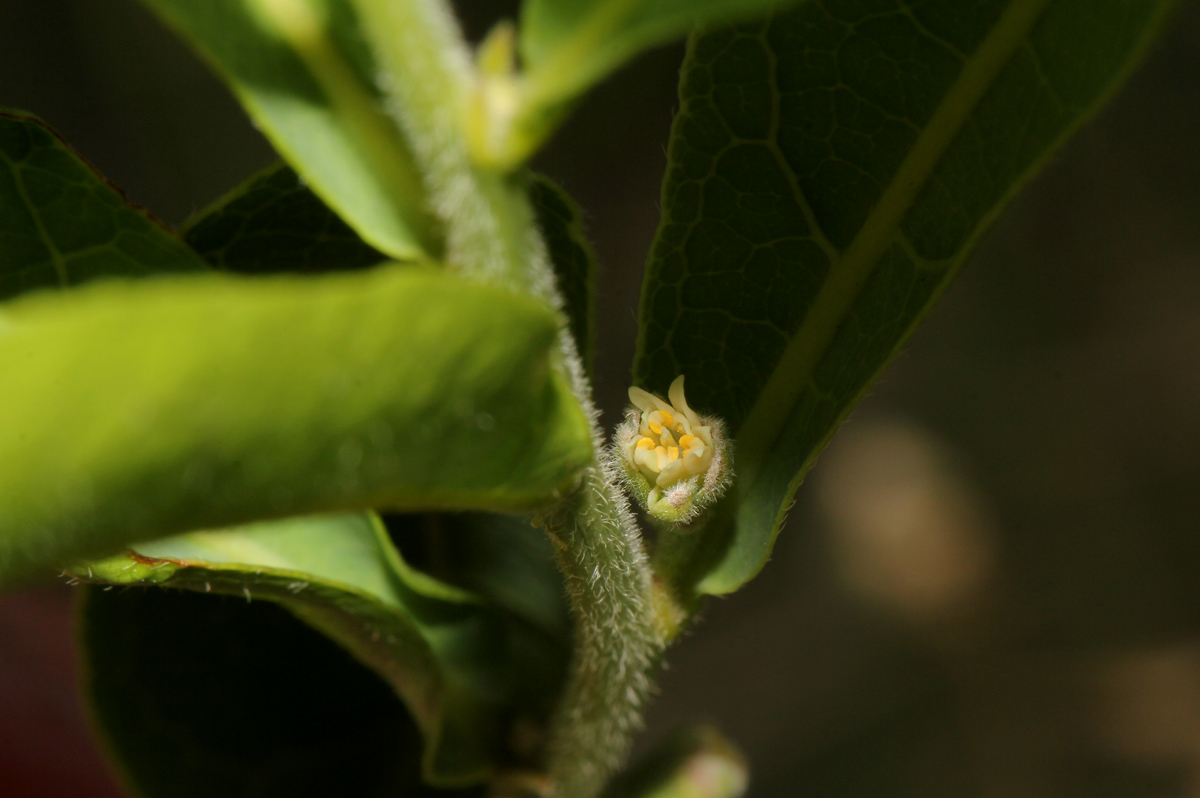
Image: 6

Dichapetalum cymosum

Species id:133990
Image id:6
Image number:30094
Photographer: BT Wursten
Code 1 if image of a herbarium specimen:0
Herbarium in which image taken:
Code 1 if image not to be displayed:0
Image notes:

Image: 7

Dichapetalum cymosum

Species id:133990
Image id:7
Image number:30095
Photographer: BT Wursten
Code 1 if image of a herbarium specimen:0
Herbarium in which image taken:
Code 1 if image not to be displayed:0
Image notes:

Image: 8

Dichapetalum cymosum

Species id:133990
Image id:8
Image number:30096
Photographer: BT Wursten
Code 1 if image of a herbarium specimen:0
Herbarium in which image taken:
Code 1 if image not to be displayed:0
Image notes:

Copyright: Mark Hyde, Bart Wursten, Petra Ballings and Meg Coates Palgrave, 2014-25

Hyde, M.A., Wursten, B.T., Ballings, P. & Coates Palgrave, M. (2025). Flora of Caprivi: Individual record no: 94921: Dichapetalum cymosum.
https://www.capriviflora.com/speciesdata/species-record.php?record_id=94921, retrieved 15 December 2025

Site software last modified: 18 October 2025 12:29pm (GMT +2)
Terms of use