Details of record no: 91563

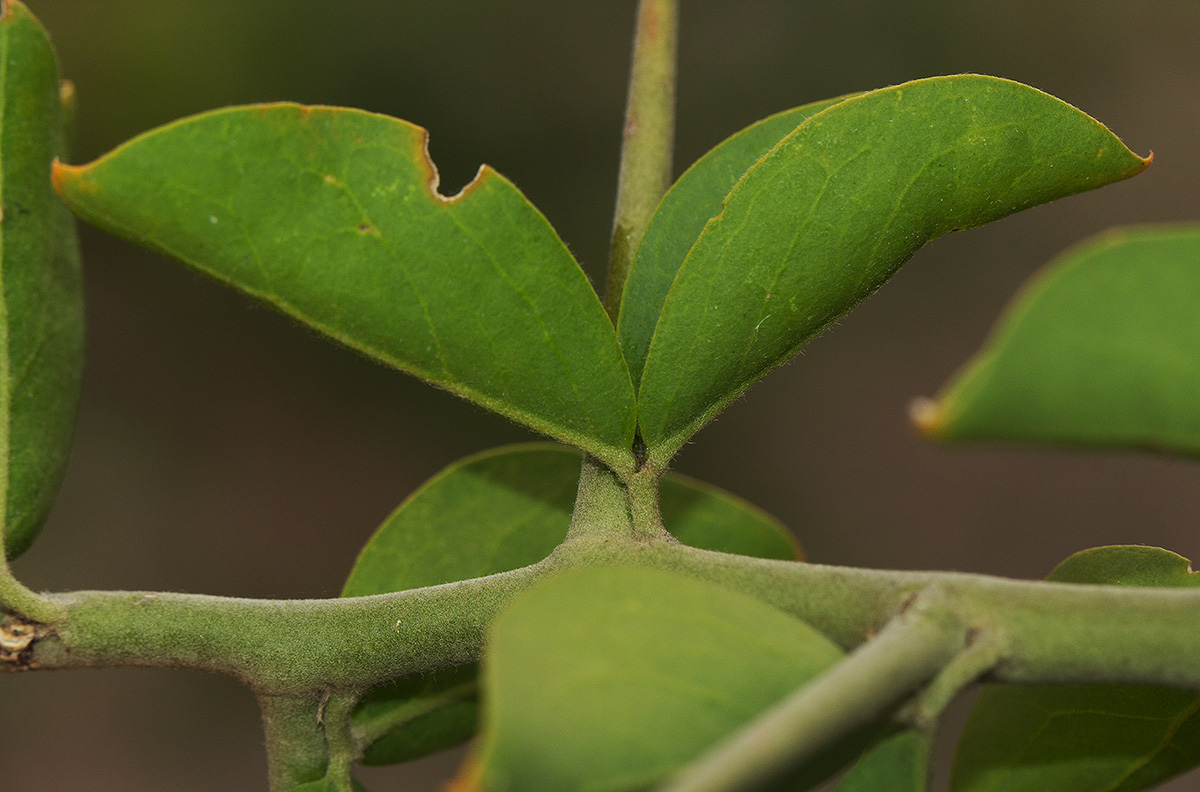
Balanites aegyptiaca (L.) Delile
var. aegyptiaca

Three blocks of information are displayed on this page, namely: (a) details of the record; (b) the record point plotted using Google Maps and (c) any images attached to the record. Please scroll down to see the various items.

Record details:

Date: 31 Jan 2018
Recorder(s):BT Wursten
P Ballings
Collector(s):
Determiner(s):BT Wursten
Confirmer(s):
Herbarium:
Habitat: Mixed mopane woodland
Location: B8 to Ngoma
Location code(s):
Outing code: 51
Planted code: Not planted
Country: Namibia (Caprivi Strip)
Quarter Degree Square: 1724D3
Grid reference:
Altitude (metres): 932
Notes:
Latitude, Longitude: -17.863740, 24.659110
Location Accuracy Code: 7

Map of species record

Images:

Image: 6

Balanites aegyptiaca var. aegyptiaca

Species id:132960
Image id:6
Image number:34858
Photographer: P Ballings
Code 1 if image of a herbarium specimen:0
Herbarium in which image taken:
Code 1 if image not to be displayed:0
Image notes:

Image: 7

Balanites aegyptiaca var. aegyptiaca

Species id:132960
Image id:7
Image number:34859
Photographer: P Ballings
Code 1 if image of a herbarium specimen:0
Herbarium in which image taken:
Code 1 if image not to be displayed:0
Image notes:

Image: 8

Balanites aegyptiaca var. aegyptiaca

Species id:132960
Image id:8
Image number:34860
Photographer: BT Wursten
Code 1 if image of a herbarium specimen:0
Herbarium in which image taken:
Code 1 if image not to be displayed:0
Image notes:

Image: 9

Balanites aegyptiaca var. aegyptiaca

Species id:132960
Image id:9
Image number:34861
Photographer: BT Wursten
Code 1 if image of a herbarium specimen:0
Herbarium in which image taken:
Code 1 if image not to be displayed:0
Image notes:

Image: 10

Balanites aegyptiaca var. aegyptiaca

Species id:132960
Image id:10
Image number:34862
Photographer: BT Wursten
Code 1 if image of a herbarium specimen:0
Herbarium in which image taken:
Code 1 if image not to be displayed:0
Image notes:

Image: 11

Balanites aegyptiaca var. aegyptiaca

Species id:132960
Image id:11
Image number:34863
Photographer: BT Wursten
Code 1 if image of a herbarium specimen:0
Herbarium in which image taken:
Code 1 if image not to be displayed:0
Image notes:

Image: 12

Balanites aegyptiaca var. aegyptiaca

Species id:132960
Image id:12
Image number:34864
Photographer: BT Wursten
Code 1 if image of a herbarium specimen:0
Herbarium in which image taken:
Code 1 if image not to be displayed:0
Image notes:

Copyright: Mark Hyde, Bart Wursten, Petra Ballings and Meg Coates Palgrave, 2014-26

Hyde, M.A., Wursten, B.T., Ballings, P. & Coates Palgrave, M. (2026). Flora of Caprivi: Individual record no: 91563: Balanites aegyptiaca.
https://www.capriviflora.com/speciesdata/species-record.php?record_id=91563, retrieved 18 February 2026

Site software last modified: 18 October 2025 12:29pm (GMT +2)
Terms of use