
| Species id: | 139820 |
| Image id: | 3 |
| Image number: | 11593 |
| Photographer: | BT Wursten |
| Code 1 if image of a herbarium specimen: | 0 |
| Herbarium in which image taken: | |
| Code 1 if image not to be displayed: | 0 |
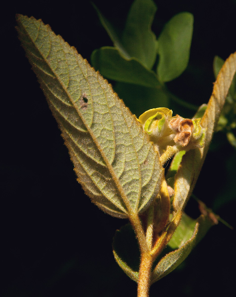
| Image notes: | Epicalyx acute, not long-acuminate |
| Record id: | 38178 |
| Date: | 7 Jan 2012 |
| Recorder(s): | MA Hyde BT Wursten P Ballings |
| Collector(s): | |
| Determiner(s): | |
| Confirmer(s): | |
| Herbarium: | |
| Habitat: | Rocky miombo woodland |
| Location: | Near the lodges, Lake Kyle Recreational Park |
| Location code(s): | 75 |
| Outing code: | 13 |
| Planted code: | Not planted |
| Country: | Zimbabwe |
| Quarter Degree Square: | 2031A1 |
| Grid reference: | |
| Altitude (metres): | 1090 |
| Notes: | Epicalyx acute, not long-acuminate |
| Latitude, Longitude: | -20.218510, 31.008720 |
| Location accuracy code: | 7 |